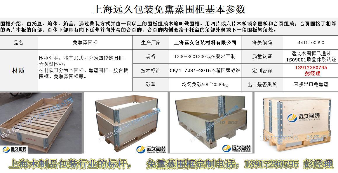
使用过由天然原木制作的木箱包装产品出口的都知道,这类出口的木箱包装都要进行熏蒸消毒处理,那么为什么要熏蒸消毒呢?在国际贸易中入境国为了保护自己国家的资源,各国都会对一些进口商品实行强制检疫制度。 木质包装的熏蒸和消毒是防止有害病虫危害进入国内森林资源的必要措施。 因此,含木质包装的出口货物必须在装运前进行除害处理,而熏蒸消毒是除害处理的方法之一。出口熏蒸围板木箱就是一款由天然原木加工而成的包装容器,由托盘、箱体、以及箱盖通过叠装方式并由一段以上的围板组成的新型运输包装箱,箱体由若干层围板上下叠加组成。 金彩汇一层围板分别垂直于箱底,每一层围板相邻的各侧板之间通过合页活动连接;使出口熏蒸围板木箱可以实现多样组合,无钉化作业,操作简易、便捷、安全;其次循环复用,使用寿命长,综合成本低;然后可折叠、占用空间小、运输成本低;最后性能稳定,满足各种物流运输要求。 随着经济发展,人们生活水平不断提高,在实木木箱金彩汇的使用上也追求承载力强、实用性更好的产品。围板木箱方便灵活的标准围板包装箱有着无可比拟的优势。损坏的围框和盖子可以进行替换,整体循环包装系统的投资比较低廉,在正常物流情况下使用寿命则可达十年之久,这也是一种可靠的坚固的可以折叠的包装系统。













